Et oui nous avons craqué et décidé de remettre ça.
Cette fois-ci, nous parquons le van au centre-ville non loin du port. Pro Dive Cairns vient nous récupérer pour nous amener au bateau et c’est partie pour 3 jours sur la Grande Barrière de Corail !
Cette fois, 11 plongées uniquement pour le plaisir. Pas de cours au programme. Heureusement pour nous, nous sommes nettement moins que la dernière fois. Nettement plus agréable de se déplacer sur le bateau. Cette fois-ci notre cabine est équipée d’un lit queen size, yeahh ! Et le plus génial dans tout ça… l’océan est calme 🙂 je suis au paradis. Ça ne veut pas dire que mes tablettes sont mises de côté, mais qu’est-ce que c’est agréable de pouvoir profiter du voyage sans mal de tête ou autre désagrément. En plus il ne pleut pas et le soleil est quasiment toujours de la partie. Nous sommes tellement heureux d’avoir réservé ce tour une nouvelle fois.
Pour notre première plongée, nous retournons au même endroit que la dernière fois qui se nomme Petaj sur le récif Milln. Depuis le bateau, l’eau semble être translucide. Nous n’avons qu’une hâte, c’est d’y aller. Briefing, préparation et une fois les derniers contrôles faits, hop à l’eau.
Avec environ 20 mètres, la visibilité est fantastique. Alors que nous nageons parmi les poissons, nous croisons une magnifique tortue qui remonte vers la surface pour prendre un bol d’air. On adore… nous restons un instant avec elle pour immortaliser le moment.
Un peu plus tard, nous voyons une autre tortue qui se repose sur les coraux. Notre aventure commence bien 🙂 Nous croisons également une petite famille de poisson clown dont un qui est vraiment minuscule. Ça nous fait toujours rire car ils ont toujours l’air de mauvaise humeur. Ils doivent en avoir marre de tous ces plongeurs qui s’arrêtent devant leur maison. Même pas un peu d’intimité.
Nous restons au même spot pour la plongée suivante. Encore des tortues. On dirait qu’une d’entre elles a envie de nous suivre. Nous ne disons pas non, elle peut rester avec nous pour toujours si elle veut. Elle sont tellement gracieuses ! Nous croisons aussi un poisson chirurgien (Dory). Une petite raie se cache également dans le sable avant de s’enfuir en nous voyant débarquer. Tandis que nous faisons demi-tour pour retourner vers le bateau qui voyons nous ?! Notre ami la tortue 🙂 C’est comme si elle voulait nous montrer le chemin pour revenir au bateau. Elle nage à nos cotés pendant bien 2 minutes. Du coup nous profitons de sa présence pour prendre quelques photos et vidéos.
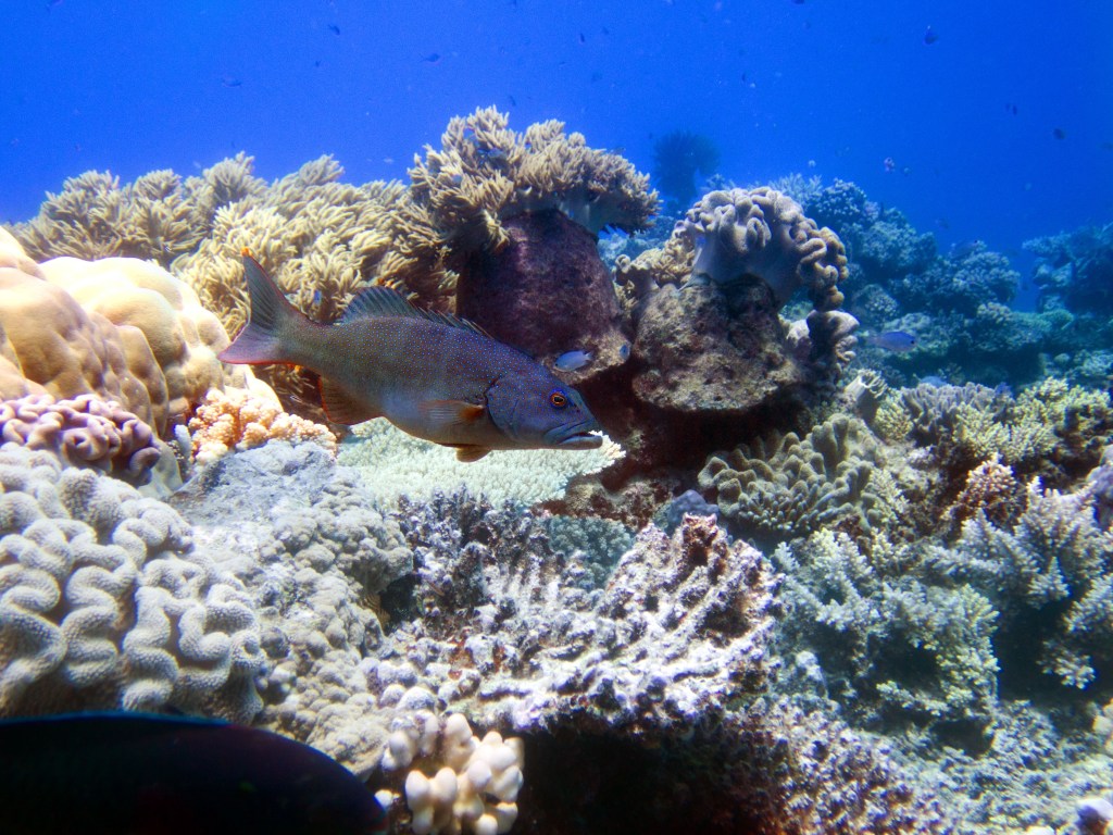
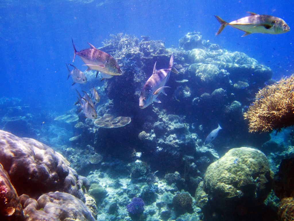
Nous nous déplaçons ensuite pour les 2 prochaines plongées à Swimming Pools toujours sur le récif de Milln. Une première fois pour repérer le coin et se faire une idée des environs. Nous croisons une raies, un triggerfish et quelques angelfish. Un mérou camouflage nous surprend. Ils sont relativement difficiles à repérer. Un autre mérou, qui est assez gros d’ailleurs se repose la bouche ouverte laissant entrevoir ses dents. Au milieu d’une anémone, nous pouvons voir deux petits poissons clown à collier.
La 2ème fois, de nuit, ça change beaucoup. La faune est également complètement différente. Les petits poissons se cachent, les poissons perroquets dorment dans leur coque de mucus et les requins et autres prédateurs sont de sortie. Beaucoup de requins de récif sont présents cette nuit. Il y en a même un qui passe soudainement entre les palmes de Yann.
Nous dormons très bien cette nuit. Réveille aux aurores pour 4 nouvelles plongées au programme. Nous restons une dernière fois sur ce récif, puis nous nous déplaçons sur Flynn Reef, où nous visitons les sites de Tracy’s et Gordons.
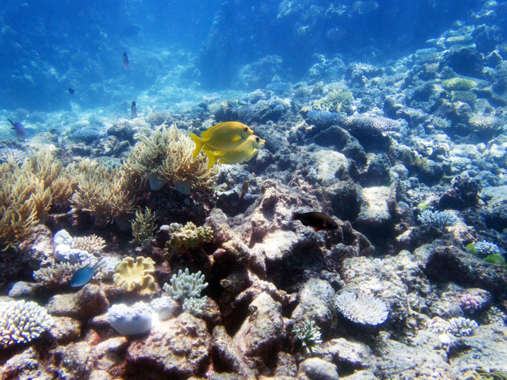
Nous croisons un trompettefish, quelques jolies clam, un mini blennie caché dans son trou et quelques autres poissons multicolores.
A peine notre plongée commencée, nous nous dirigeons vers les petits « nemo », qui sont toujours au même endroit. Toujours aussi mignons, ils jouent à cache-cache alors que Yann veut les prendre en photo.
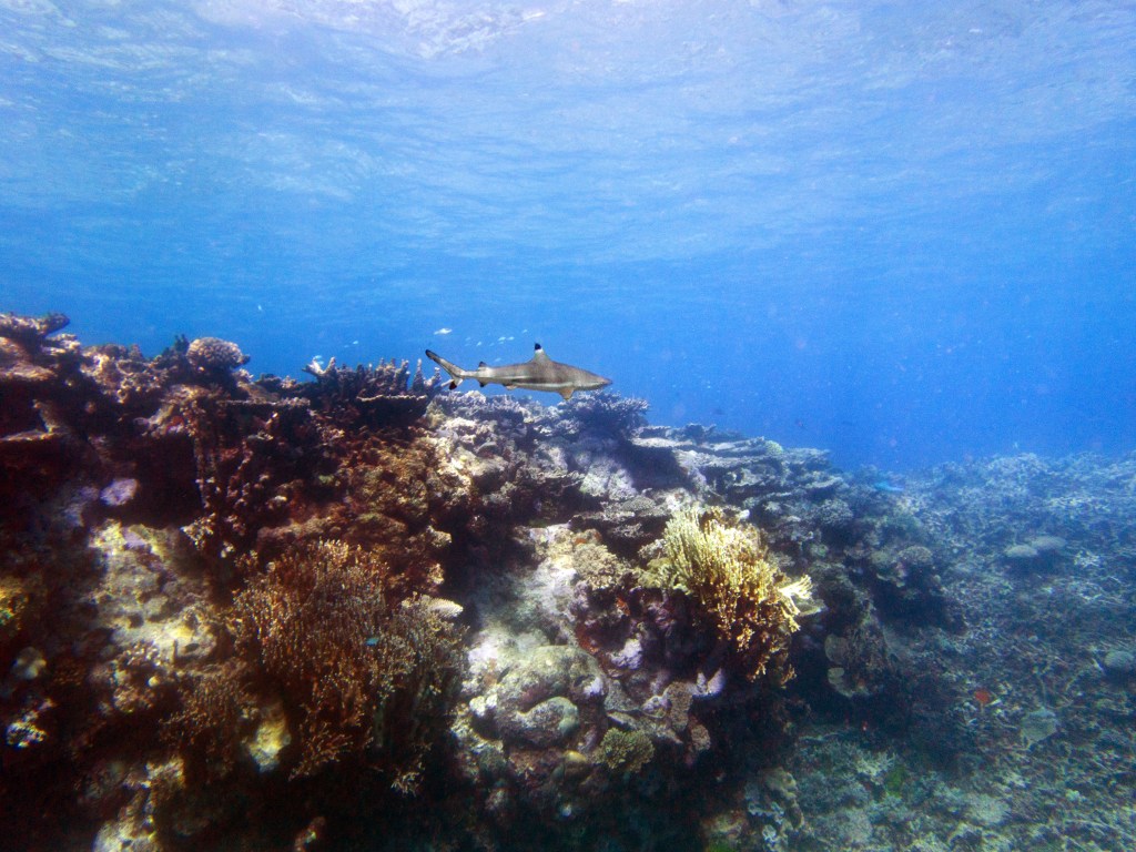
Je perds presque Yann sous l’eau alors qu’il poursuit un requin de récif à pointe blanche. A nouveau nous apercevons également pas mal de différents types de poissons, tels les poissons anges (Angel fish), Bat fish, Sting ray, Banner fish, Sweetlips et quelques triggerfish. Ces derniers sont assez sympathiques, mais lorsqu’un collègue de plongée nous raconte que ces poissons peuvent être très agressifs… nous sommes un peu plus sur nos gardes du coup quand nous les croisons. Ils possèdent en faite d’énormes incisives qui peuvent faire pas mal de dégâts.
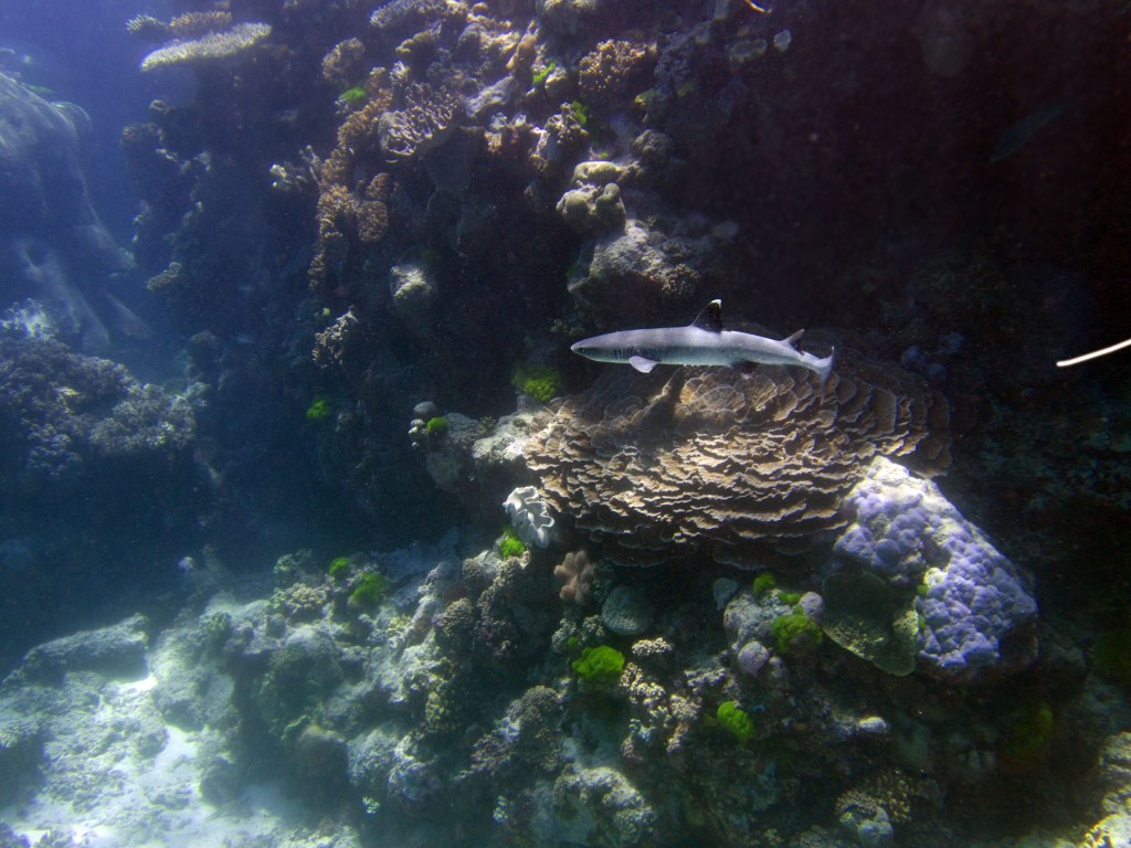
De retour sur le site de Grodons, où « Mickey Mouse » se trouve, nous apercevons durant un court instant un requin à pointe noire ! Nettement plus rare que son cousin à pointe blanche. La chance reste avec nous, car des tortues nagent dans le coin également 🙂 Nous avons même l’opportunité de croiser une tortue Hawksbill qui mangeait sur des coraux. Elle sont malheureusement en grave danger d’extinction. Au moment de quitter l’eau, nous voyons même un barracuda qui zone juste sous la coque du bateau.
Pour notre plongée de nuit nous retournons à « Mickey Mouse ». Le skipper demande à Yann si ça lui va de guider un petit groupe étant donné que nous avons déjà plongé ici par le passé et que certains binômes ne se sentent pas à l’aise d’aller seul. Du coup Yann sera en charge de ne perdre personne et de nous ramener après 30 minutes.
Nous partons à la découverte des cachettes où une tortue géante prénommé Bryan devrait dormir. La première cachette est vide, mais arrivés à la deuxième, bingo 🙂 Il est là tranquillement en train de se reposer. Nous l’admirons quelques instants avant de reprendre notre chemin. Yann qui se trouve à l’avant voit une autre tortue qui est encore plus grande que Bryan ! Elle ne dormait pas et venait de rentrer dans sa tanière. Du coup à peine qu’elle nous repère, elle repart aussitôt. Malheureusement nous étions le premier groupe et par conséquent nous ne savons pas si les autres la verrons aussi.
Nous poursuivons notre exploration et croisons quelques requins. Yann aperçoit même une minuscule rascasse volante. Des bancs de trevally nous entourent dans la pénombre pour utiliser nos torches afin de détecter leurs proies. Nous allons nous coucher ce soir avec des étoiles plein les yeux.
Dernier jour sur la Grande Barrière de Corail. Nous sautons dans l’eau à Little Tracy’s juste avant le petit-déjeuner. Alors que nous venons d’atteindre le fond, nous apercevons un lion fish le long d’un bommy. Génial 🙂 Quelques photos et nous continuons notre route. Arrivés vers un grand bommy, nous levons la tête et sommes époustouflés par le banc de Bumphead Parrotfish qui entourrent les coraux. Ils sont énormes et il y en a tellement ! C’est impressionnant ! Nous apercevons pour la première fois une autre espèce de triggerfish. Quelques raies sont aussi de la partie et une seiche.
Finalement, pour nos deux dernières plongées, nous restons sur Flynn Reef mais visitons cette fois Corals Gardens. Très peu profond, environ 8 mètres sur le plateau, mais il s’agit vraiment d’un jardin avec une quantité impressionnante et très variée de vie sous-marine. Des tortues, des murènes (dont une hors de son trou…), un requin de récif, les fameux Triggerfish, Parrotfish, Sweetlips, Anemone fish, Map puffer, barracuda, Patato Cod, Flowery Cod, Chinese Footballer, Maori Wrasse et j’en passe. Que du bonheur pour terminer cette aventure. Une vidéo de nos plongées est aussi en préparation mais il faudra être patient 🙂
Nous rentrons ensuite à Cairns et après avoir repris le van, déposé nos affaires et pris une bonne douche, nous retrouvons l’équipe pour boire un dernier verre et manger une morse dans un restaurant bavarois ^^ En discutant avec un des instructeurs, il remarque nos colliers de jade et, lui-même Néo-Zélandais, nous demande si nous avons aimé son pays et quelle partie nous avons préférée. Bien entendu je réponds Whitianga, surtout car j’y avait déjà été il y a quelques années et c’est d’ailleurs à cet endroit que j’ai plongé pour la première fois. C’est là qu’il nous dit qu’il travaillait dans ce village, apparemment à la même période, comme instructeur de plongée ! En fin de compte, il y a de fortes chances qu’il ait déjà été mon instructeur par le passé 🙂 c’est fou comme le monde est petit.
Les jours suivants, nous nous reposons et affrontons notre mal de terre. Cette fois heureusement les symptômes passent assez vite, vu les conditions calmes que nous avons eues.
7 nuits avant notre vol qui nous ramène à Sydney et 7 nuits seulement à passer dans notre van 😦 snif… Nous en profitons donc pour visiter une dernière fois quelques endroits. Port Douglas et son marché, Palm Cove et sa magnifique plage, le fameux restaurant japonais « Arigato Mate » où nous avons mangé pratiquement chaque semaine (leur lunch box est délicieux), ainsi que plusieurs cafés différents histoire de travailler sur nos dossiers de postulation encore et toujours.
Finalement le 31 octobre, nous rendons notre cher van, dans lequel nous avons vécu 5 mois. Que de bons souvenirs 🙂 Bye bye van ! Nos affaires empaquetées tant bien que mal, nous nous rendons à l’aéroport de Cairns pour prendre notre vol direction Sydney.




















































































































