C’est agréable de dormir à nouveau dans notre cher van. Le seul problème est que tout tourne autour de nous. Ils appellent ça le mal de terre apparemment ^^ Et oui car après avoir passé trois jours sur un bateau, notre cerveau s’était habitué à la houle. De ce fait, lorsque nous tentons de marcher notre cerveau essaie encore de compenser les mouvements constants de la houle. Pour faire simple, même sur la terre ferme tout bouge comme si nous avions trop bu et il est difficile de marcher sans tituber par moment. Il nous a fallu 2 à 3 jours pour nous en remettre… Natacha a même hésité à prendre des tablettes pour le mal de mer. Nous passons donc un peu de temps à nous reposer et profiter des oiseaux et autres animaux avec qui nous partageons notre place de camping.
Toujours à Cairns, nous souhaitons visiter un peu les environs. Le temps étant un peu maussade par moment, nous choisissons d’aller faire un petit tour à Kuranda, un charmant petit village situé dans la vallée d’à côté. Nous profitons d’une terrasse et d’un café pour discuter de la suite de notre voyage. Après mures réflexions et au vu de la situation dans le monde, nous décidons de garder le van jusqu’à fin octobre.
Avant de quitter Kuranda nous faisons une petite marche pour visiter la ville et admirer les chutes de Barron. Malheureusement nous ne sommes pas à la période la plus propice et les chutes sont moins impressionnantes qu’à leur habitude, mais la vue est tout de même jolie.

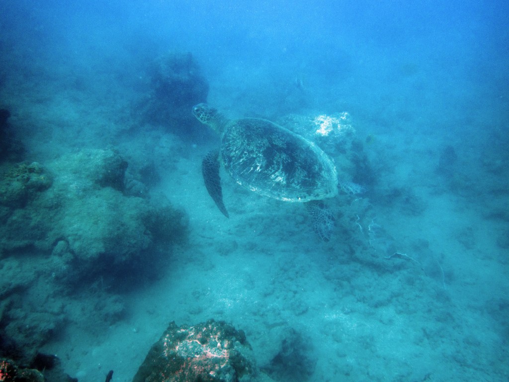
Une fois le soleil de retour, nous réservons quelques activités, tel qu’un tour pour visiter les îles Frankland et y faire un peu de snorkeling et de plongée. Ce jour-là on nous amène jusqu’au bateau accosté le long d’une rivière. Il nous suffit ensuite d’une petite heure pour rejoindre les îles, qui sont enregistrées comme réserve naturelle donc protégées. En fait la compagnie avec laquelle nous sommes est la seule autorisée à y amener des visiteurs. Nous commençons tout d’abord par du snorkeling. Notre guide, docteur en biologie marine, nous montre les coins à observer et nous explique ce qu’il faut voir et pourquoi nous les voyons. Nous croisons plein de poissons perroquets, de poissons ange et j’en passe. Magnifiques poissons clown dans une anémone bleue ! Superbes photos. Et nous voyons enfin nos premières tortues !!! 🙂 Quel spectacle fantastique ! Elles se laissent porter par le courant et nagent gentiment. C’est très reposant de les regarder faire.
Aujourd’hui nous sommes les seuls plongeurs. Nous avons donc un guide rien que pour nous. Pendant que les autres partent pour un safari snorkeling, nous nous équipons pour notre plongée. Une fois dans l’eau, notre guide nous montre de minuscules poissons que nous n’aurions jamais découverts autrement, ainsi que de très petits nudibranches. D’énormes tortues de mer se reposent contre les récifs, malheureusement dès qu’elles nous aperçoivent, elles partent au loin. Nous nageons parmi les coraux et nous émerveillons.
Une fois de retour sur l’île, le dîner nous attend (boite à pique-nique personnel, Covid oblige), puis nous continuons la journée par une ballade et visite guidée de l’île. Notre experte en biologie marine nous explique les comportements de chaque être vivant que nous croisons et nous expose les caractéristiques de l’endroit. Ici les coraux sont mis à rude épreuve à cause de la chaleur par exemple. Les marées notamment les exposent hors de l’eau par moment. Des courants d’eau douce également parcourent parfois le récif, dû à l’embouchure d’un fleuve non loin de là. Aucune explication scientifique n’a encore pu être apportée, mais apparemment ces coraux ont réussi à s’adapter à ces changements radicaux qui en temps normal leur seraient fatals. Nous apprenons également, par exemple, que les concombres de mer, malgré leur aspect un peu dégoutant, sont de vrais filtres aquatiques, indispensables au bon fonctionnement de la vie sous-marine. Les crabes s’amusent à les couper en deux de temps en temps, mais n’ayant pas de nerfs ils ne remarquent pas que leur taille passe de 30 à 15cm ^^ La visite est très instructive et intéressante. En 1 heure nous faisons le tour de l’île.
Nous remontons ensuite à bord du bateau pour revenir sur le continent. En rentrant le long de la rivière, nous prenons le temps de nous arrêter un court instant pour observer un crocodile qui se repose sur la berge.
Un autre jour, une de nos escapades nous emmène marcher dans le parc national des Gorges de Barron. Le soleil tape pas mal ce jour-là et nous sommes contents de constater qu’une grande partie du sentier est à l’ombre. Les quelques 7 km aller-retour grimpent pas mal pour rejoindre le point de vue nommé Glacier Rock Lookout. Depuis là, nous avons une magnifique vue sur le ville de Cairns et l’océan. Un couple arrivés avant nous nous conseillent même d’aller sur la corniche un peu en contre-bas. Effectivement la vue y est bien meilleure, même s’il faut faire un peu attention de ne pas dégringoler en bas de la falaise.
La 2ème marche que Yann trouve dans la région est une vraie partie de grimpe. La Walsh’s Pyramid qui est visible depuis Cairns, offre également une magnifique vue sur les alentours, mais est un enfer à gravir et à redescendre. Pourtant pas très longue, il ne s’agit que de 3 km de montée et 3 km de descente très très raide… un peu plus de 900 mètres de dénivelé positif. Il nous faut 1h30 pour arriver en haut et tout juste un peu moins pour revenir. Le lendemain nos muscles sont en feu… bon entrainement en tout cas ^^ Heureusement, nous y sommes allés très tôt et avions terminé avant midi. Sinon il fait beaucoup trop chaud.
Cairns comme une grande partie des villes australiennes a le droit à son jardin botanique. Nous y faisons une petite promenade durant laquelle nous croisons de nombreux oiseaux, papillons et une araignée sauteuse qui ne voulait pas se faire photographier. Avec un peu de persévérance nous avons fini par l’avoir 🙂
Après ces quelques marches nous remarquons que les vacances scolaires approchent à grand pas. Ce qui veut dire beaucoup plus d’Australiens dans la région. Nous décidons donc de quitter Cairns afin d’aller visiter des endroits un peu moins fréquentés.












































